Property Description
Rare Opportunity in Bridgeport City Limits – Over 8 Wooded Acres at The Vale! Discover the blend of privacy and convenience with this exceptional 8+ acre wooded tract located within the city limits of Bridgeport at The Vale. Tucked away in a peaceful setting yet minutes from town, this property offers the ideal canvas for your dream home. Enjoy the freedom of no HOA, while city-maintained roads, underground utilities, and protective covenants and restrictions help preserve long-term property value. This land provides space, seclusion, and the unmatched charm of wooded surroundings-all within city limits. ***PLEASE SEE AGENT REMARKS **** ***PLEASE CALL AGENT FOR ADDITIONAL DETAILS***
Features
: No
Utilities
: Yes
Address Map
US
WV
Bridgeport
26330
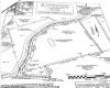
The Vale
Lot 1
Road
0
W81° 45' 35.3''
N39° 17' 44.9''
Harrison/Bridgeport
Additional Info
HOMEFINDERS PLUS REAL ESTATE INC
12
4618
Lot 1 The Vale Road
Active
Johnson Elementary
Bridgeport Middle
Bridgeport High
Single Family Residential
Library,Medical Facility,Other,Shopping/Mall
: No
No
: Other, City Water Available, City Sewer Available, Retaining Pond
$2,206
2024
Harrison
Take exit 119 for US-50 E toward Bridgeport, Use the right lane to turn left onto US-50 E/Northwestern Turnpike, Turn right onto Emily Dr, Turn left onto Platinum Dr, destination on the left.
03-07-2026 07:56:58
$47,249
2
: Level, Sloping, Wooded, Other
: No
Lots/land For Sale
Lot 1 The Vale Road, Bridgeport, West Virginia 26330
0 Bedrooms
0 Bathrooms
8.36 Acre
$395,000
Listing ID #10163522
Basic Details
Property Type : Lots/land
Listing Type : For Sale
Listing ID : 10163522
Price : $395,000
Bedrooms : 0
Bathrooms : 0
Year Built : 0
Lot Area : 8.36 Acre
Status : Active
Days On Market : 0
View : Neighborhood, Park-like
Frontage Feet : 450
Agent info
Contact Agent









